目录
问题背景
安装最新版本Matlab2023a之后发现在官网上发现新版本自动集成C2000 Microcontroller Blockset
新版本开箱!MATLAB® 和 Simulink® 版本 2023a 发布~
对于目前matlab的附加功能资源管理器被墙的情况来说是雪中送炭了

(对于之前版本想要安装c2000工具包的话可以在官网寻找安装包)
之前版本如何安装
对于28379的芯片需要安装额外的工具包(在2022b版本配置时遇到了此问题)
具体安装教程可以看其他博主的教程,我就不产生垃圾了😛😛😛
配置教程
matlab2023a的配置方法与以前有所不同
在附加功能资源管理器中,没有配置按钮
阅读相关文档后,发现了配置方法

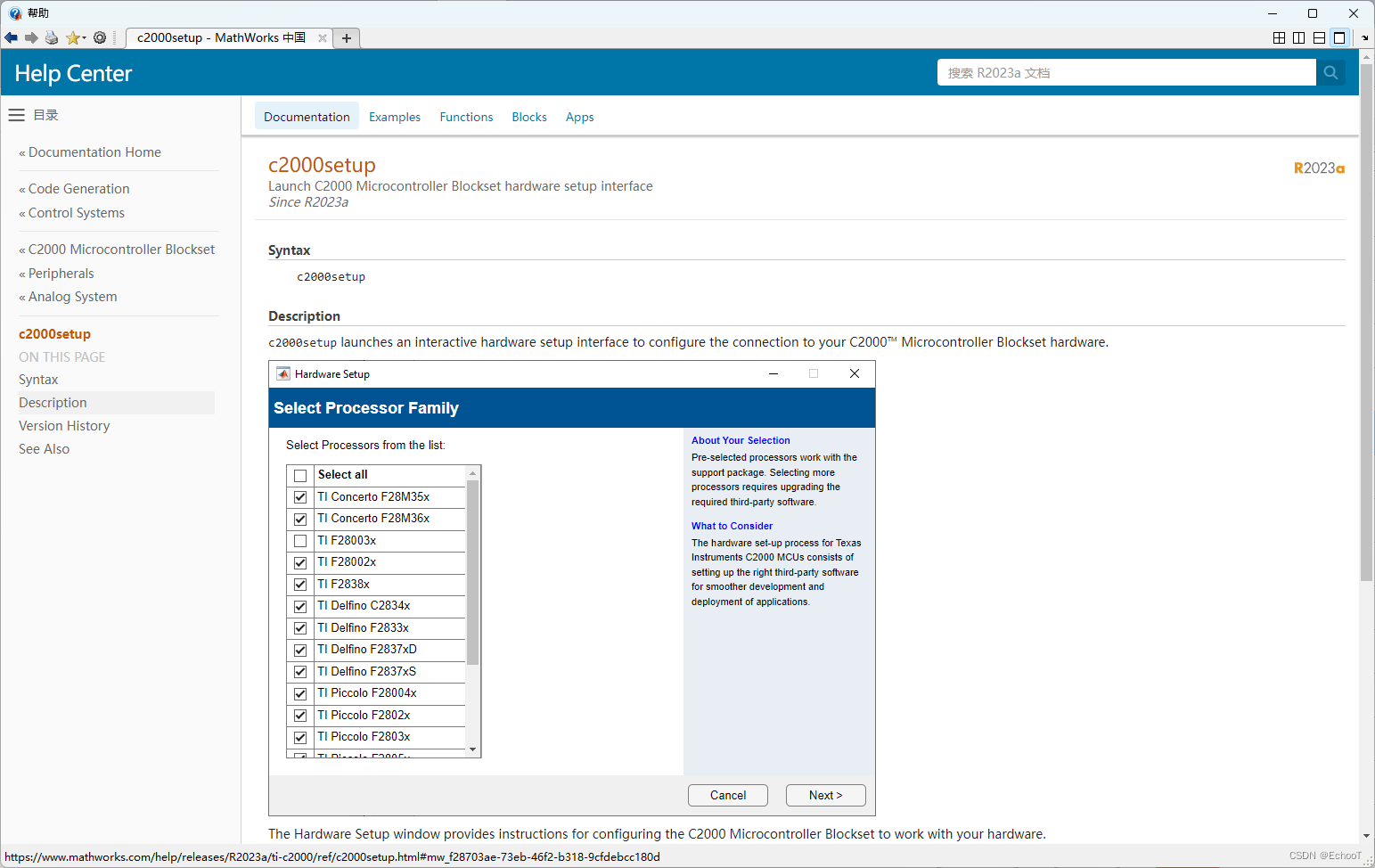
在命令行窗口中,输入
c2000setup

重点勾选33x系列和37x系列。
下一步

install安装

在这安装之后,可以了解三剑客(controlSuite,CCS,C2000Ware)的要求
去Ti官网find&download(需要登录Ti账号)
便捷直达
(百度网盘:链接:https://pan.baidu.com/s/1ZEBj3C1e51WbWYeHKJeXWQ 提取码:fz2b)
controlSuite(推荐安装离线版):
CONTROLSUITE 驱动程序或库 | TI.com.cn
CCS:
CCSTUDIO IDE, configuration, compiler or debugger | TI.com
C2000Ware:
C2000WARE 软件开发套件 (SDK) | TI.com.cn
分别进行安装(顺序无要求)
CCS的安装包路径不能有中文
安装之后,重启一下,重新打开matlab,按照之前的步骤打开配置

下一步
Validate

下一步
Validate

下一步

下一步,点击完成
到这配置就已结束
可以写一个demo程序试一试。

1847

被折叠的 条评论
为什么被折叠?



