01 扫描电镜SEM
1. 样品要求
固体,无毒,无放射性,无污染,无磁,无水,成分稳定
2. 常用方法
一般分块状样品、粉末样品和截面样品制备三类
块状样品
低倍率观察(<5万倍)-- 导电胶带
高倍率观察(>5万倍)-- 液体导电胶

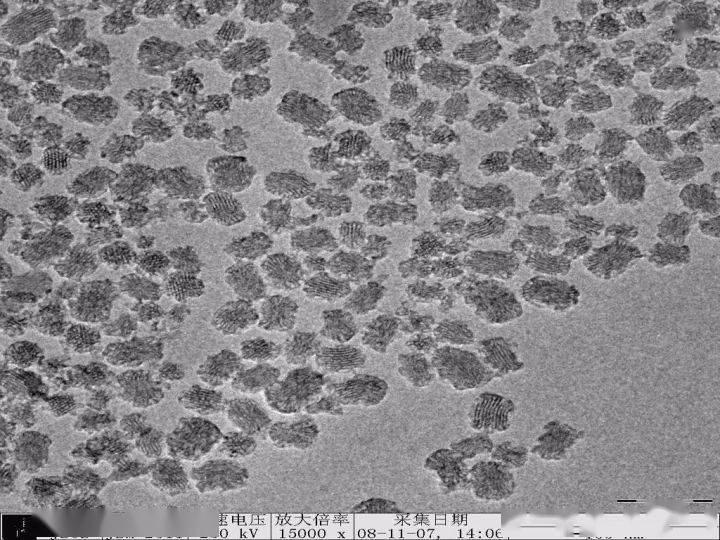
粉末样品
可以直接固定在导电胶带或者液体导电胶上,见图
注意:如果是导电胶带,揭下来的剥离纸一定要倒着放,撒完样品后在用剥离纸干净的面压一下,固定的才回牢
如果是液体导电胶,最好是用水溶性的,不容易和样品发生反应,撒样品的时间点控制在导电胶快干的时候撒,才能使样品达到半浸没状态。

也可以用分散法:

截面样品
如果是硅片或者是玻璃,需要用到玻璃刀,见图
注意:用玻璃刀划的时候要让开观察的面,也就是说可以上面和下面各划一下,然后再掰就可以了
根据不同样品材质,有的时候是正面掰好,有的时候是从背面掰好。

对于薄膜类的样品,可以用液氮粹断,如下图

02 透射电镜TEM
1. 样品要求
样品被观察区对入射电子必须是“透明”的。电子穿透样品的能力与其本身能量及样品所含元素的原子序数有关。一般透射电镜样品的厚度在100nm以下。对于高分辨电镜样品,厚度必须小于10nm。
样品必须牢固。以便能经受电子束的轰击,并防止装卸过程中的机械振动而损坏。对于易碎的块状样品,必须将其粘在铜网上,铜网对样品起着加固作用。对于粉末样品,可设法将其分散在附有支持膜(如火棉胶膜、微栅膜、超薄炭膜)的铜网上,铜网及火棉胶膜对粉末样品起支撑、承载和黏附作用。生物样品则必须先固定、硬化,然后切成超薄切片,再置于覆有支持膜的载网上。
样品必须具有导电性。对于非导电样品,应在表面喷一层很薄炭膜,以防止电荷积累而影响观察。
防止样品被污染。在制样过程中,样品的超微结构必须得到完好的保存。应严格防止样品被污染和样品结构及性质的改变(如相变、氧化等)。
2. 载网与支持膜的选用
载网通常是一种多孔的金属片,对样品起加固和支撑作用。载网可以用Cu、Ni、Mo、Al、W、Au及尼龙等材料制作,但通常使用Cu制作,故统称铜网。它有许多不同的规格,可根据样品的性质选择使用。大多数透射电镜样品在制样时,为了确保样品能搭载在“载网”上,会在“载网”上覆一层有机膜,称为“支持膜”。这种具有支持膜的载网,称为“载网支持膜”。

支持膜为一层非晶质的薄膜,厚约20nm。它在电子束照射下应该是“透明的”,本身并无任何结构,且与样品不会发生反应。
下面具体介绍支持膜的分类:
无孔碳支持膜系列
碳支持膜是在方华膜(也可用火棉胶)上再覆盖一层碳,是最常见并被广泛采用的支持膜。当样品放在电镜中观察时,“载网支持膜”在电子束照射下,会产生电荷积累,引起样品放电,从而发生样品飘移、跳动、支持膜破裂等情况。所以,在支持膜上喷碳,提高支持膜的导电性,达到良好的观察效果。一般膜厚度为7-10nm。 碳支持膜是以有机层为主,膜层较薄,背底一般影响很小。通常用水或乙醇分散样品,支持膜均不会受腐蚀。

如果您的样品属于磁性粉末样品可以使用两种方法:
1.树脂包埋,超薄切片;2.可以使用双联网碳支持膜。

双联网碳支持膜
纯碳支持膜系列
纯碳支持膜是在碳支持膜的基础上,将有机层用特殊方法去除后得到的纯碳膜,很适合需要在有机溶剂或高温下处理的样品(如:氯仿、四氢呋喃等有机溶剂下使用)。适合观察10nm以上的样品。膜总厚度:20~40nm。

超薄碳支持膜是在微栅的基础上,叠加了一层很薄的碳膜,一般为3-5nm。这层超薄碳膜的目的,是用薄碳膜把微孔挡住。这主要是针对那些分散性很好的纳米材料,如:10nm以下的样品,分散性极好,如果用微栅就有可能从微孔中漏出,如果在微栅孔边缘,由于膜厚可能会影响观察。所以,用超薄碳膜,就会得到很好的效果。

有孔(微栅)支持膜系列
在制作支持膜时,特意在膜上制作的微孔,所以也叫“微栅支持膜”,它也是经过喷碳的支持膜,一般膜厚度为15-20nm。它主要是为了能够使样品搭载在支持膜微孔的边缘,以便使样品“无膜”观察。无膜的目的主要是为了提高图像衬度。所以,观察管状、棒状、纳米团聚物等,常用“微栅”支持膜,效果很好。特别是观察这些样品的高分辨像时,更是最佳的选择。

非碳材料支持膜系列
纯方华膜:方华支持膜的化学成分是聚乙烯醇缩甲醛,可溶于二氯乙烷或三氯甲烷溶液,所形成的膜,强度高,透过率好。由于无碳方华膜是纯的有机膜,上面没有任何镀层物质,所以膜的弹性好,背底影响小,可支持多种样品观察。是承载超薄切片的理想材料,在观察纳米粉末等材料时,也表现的非常出色。但方华膜因导电性能不好,在电子束照射下,会因高温或电荷积累,引起局部受热碳化,产生局部黑斑,样品漂移,甚至使膜破碎,损伤被观察样品。通常在100kv电镜上使用较多。膜厚度通常为10-15nm。推荐选用200目载网。

镀金支持膜:是在一层有机方华膜上再覆盖一层金膜,便于EDS检测。膜厚度:10~20nm。推荐选用200目载网。
氮化硅薄膜窗格:可承受1000°C以上的高温。弹性较好,适用于各种样品制备技术,在电子束轰击下比较稳定,衬度及亲水性较碳膜稍差。

3. 如何区别载网正反面
比较靠谱的方法是通过对比载网边缘与中间区域亮度,碳膜的一面被视为正面。
正面:载网边缘与中间区域亮度相同
反面:载网边缘的亮度高于中间区域
科学指南针为超过3000家高校和企业提供一站式科研服务。截止2021年6月:服务1049家高校、2388家企业,提供249所高校研究所免费上门取样服务,平均每天处理样品数5000+、 注册会员数18w+、平均4.5天出结果、客户满意度超过98%。
免责声明:部分文章整合自网络,因内容庞杂无法联系到全部作者,如有侵权,请联系删除,我们会在第一时间予以答复,万分感谢。
更多科研干货教程,可以点击下面链接获取哦~
本文详细介绍了扫描电镜(SEM)和透射电镜(TEM)的样品制备方法,包括块状、粉末和截面样品的处理技巧,以及载网与支持膜的选择和使用。强调了样品的导电性、透明度、坚固性和防污染的重要性。
2118

被折叠的 条评论
为什么被折叠?



