[学术论文] JSCI期刊介绍及投稿流程学习笔记(King Saud University)

该专栏主要是论文投稿的记录笔记,希望对初学者有所帮助,也希望大家论文都能命中。 这篇文章主要介绍中科院计算机类二区期刊Journal of King Saud University Computer and Information Sciences(JSCI)的投稿笔记,希望您喜欢!

在这里插入图片描述

作者科研比较菜,推荐期刊不一定中过论文,但会加油的,希望未来都能命中论文,也祝各位读者能命中理想的期刊。加油,共勉!


一.期刊介绍

首先,给出IOTJ基础介绍。

  • 期刊全称:Journal of King Saud University Computer and Information Sciences(沙特国王大学计算机与信息科学杂志)
  • 期刊简称:JSCI
  • 官方网址https://link.springer.com/journal/44443
  • 中科院分区SCI 中科院二区
  • 出版社:Springer
  • 影响因子:5.2
  • 平均审稿周期:45周
  • 期刊介绍:计算机基础及应用

该期刊发表关于计算机基础及应用相关的论文,属于计算机大类,信息系统小类。

The Journal of King Saud University Computer and Information Sciences is a refereed, international journal that covers all aspects of both foundations of computer and its practical applications.

在这里插入图片描述

期刊详细信息如下图所示,推荐读者去了解更多关于该期刊的知识。

在这里插入图片描述

Letpub的描述如下:

在这里插入图片描述


二.投稿地址及模板

1.投稿地址

JSCI官方投稿地址如下:

在这里插入图片描述

注册成功之后登录进入投稿网站。

在这里插入图片描述

登录系统显示如下界面,选择“New Submissions”即可提交我们的论文。

在这里插入图片描述


2.LaTex模版下载

点击官网可以下载对应的模板。

在这里插入图片描述

下载至本地Latex打开效果如下图所示:

在这里插入图片描述

作者Github上传了部分模版,地址如下:

注意:
该期刊之前是爱思唯尔出版社,因此采用爱思唯尔的模版。然而,作者下载的爱思唯尔模版行间距非常大,读者需要注意。当然,最终期刊录用编辑会协助帮忙排版,但建议大家在投递前尽量优美排版,给审稿老师更好的印象。


三.官网投递

接下来,提交我们撰写的论文,在“New Submissions”中点击“Submit New Manuscript”。

在这里插入图片描述

第一步,点击“Article Type”,选择文章类型“Regular Article”。如果是综述型文章或某个专刊,请选择对应选项。该部分可能会让你补充ORCID

在这里插入图片描述

第二步,上传论文的Title页,通常包括标题、所有作者、所有单位、Acknowledgements、通信作者、第一作者信息。

在这里插入图片描述

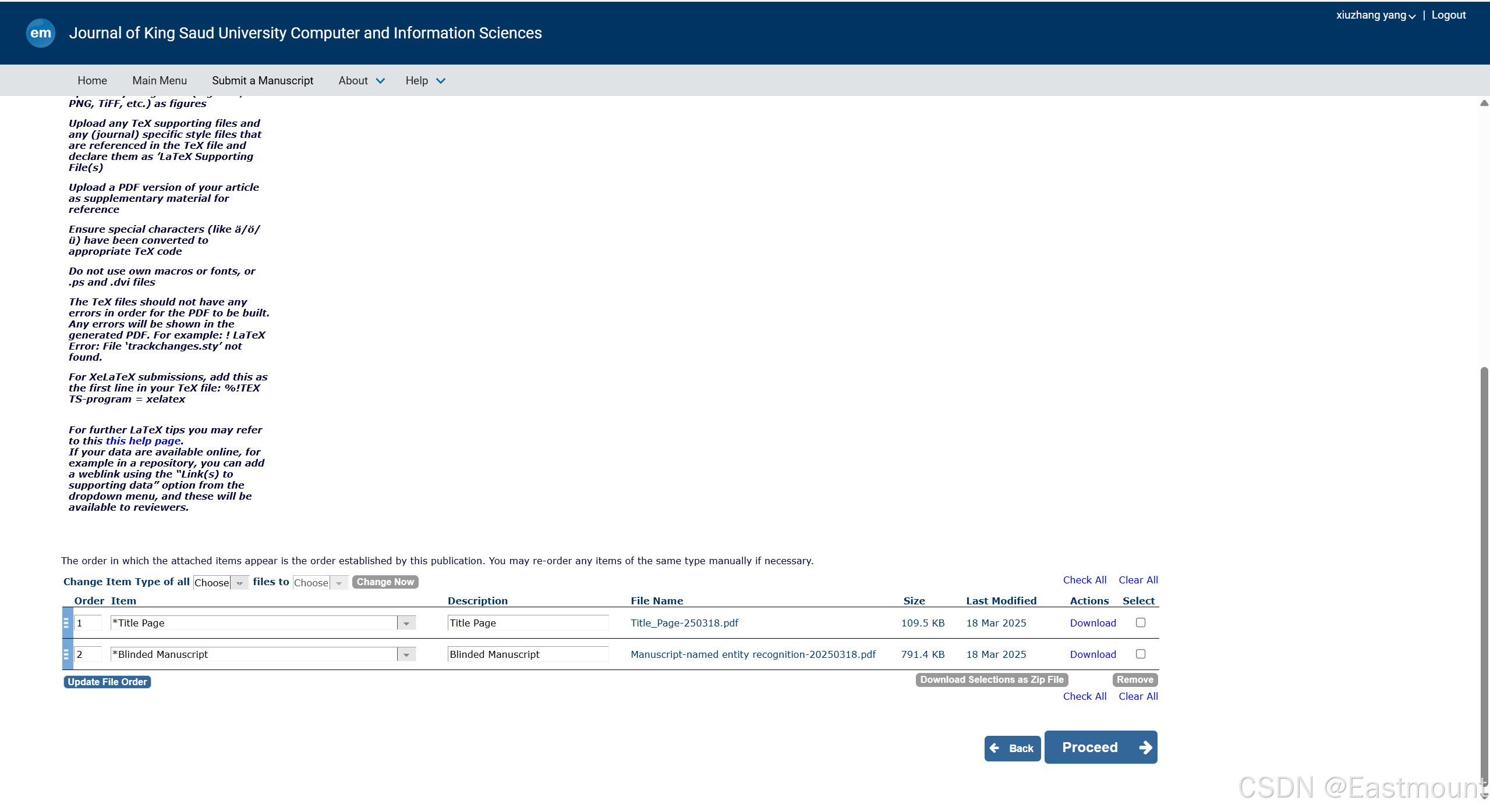
第三步,上传匿名手稿。注意,需要删除作者相关信息,按照期刊模版排版即可。

在这里插入图片描述

上传结果如下图所示:

在这里插入图片描述

第四步,选择论文所述分类。

在这里插入图片描述

第五步,填写Questionnaire信息。

在这里插入图片描述

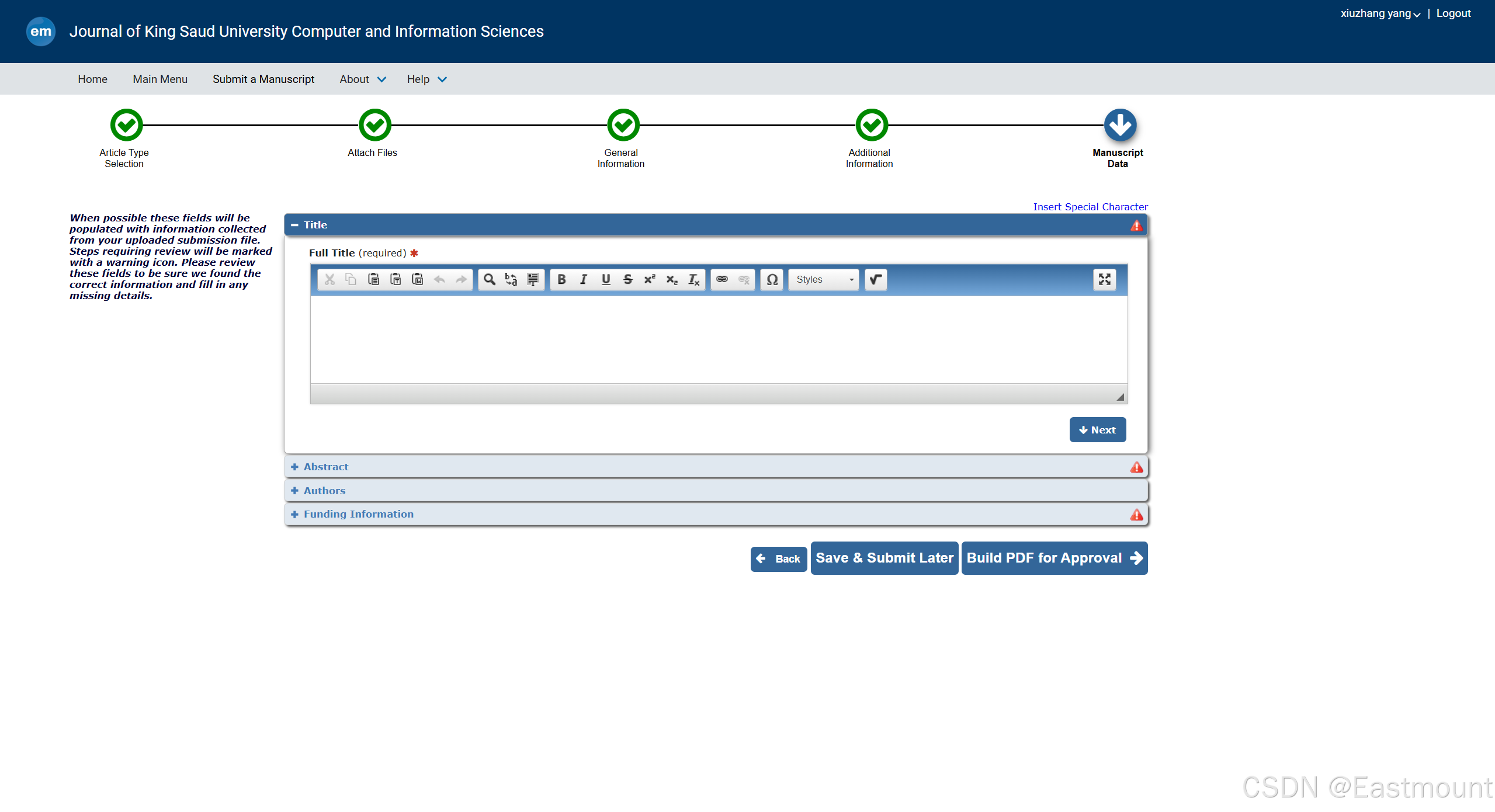
第六步,填写Manuscript Data相关信息,确保和文章内容一致。

  • 标题
  • 摘要
  • 所有作者
  • 支撑项目

在这里插入图片描述

最后,点击保存或Build PDF,生成PDF如下图所示。

在这里插入图片描述

注意:
编辑会初审论文,可能会让补充相关论文。比如:

  • Kindly remove author names from the author contributions statement (Supplementary Information).
  • Kindly provide conflict of interest anddata availability statement.

遇到相关问题,按照邮件要求补充即可。其中,Supplementary Information是作者的贡献,在第三步中补充如下图所示的PDF文件。

在这里插入图片描述

数据声明只需要在论文中增加如下所示部分的描述即可,自此论文成功送审。

在这里插入图片描述


四.论文审稿

具体时间线如下,后续更新:

  • 2025-03-18 New Submission
  • 2025-03-21 补充材料(Editor Assigned)
  • 2025-03-27 Under Review(Reviewers Assigned)
  • 2025-05-03 Major revision
  • 2025-05-28 Revision Submitted
  • 2025-06-04 Reviewers Assigned
  • 2025-06-09 Under Review
  • 2025-06-15 Accept

审稿时间有快的2个月一审,也有慢的半年一审,希望自己的论文能顺利,大家的论文也顺利。


五.总结

写到这里,这篇文章就介绍完毕,主要为在线笔记,希望对您有所帮助。祝大家的投递都命中,一起加油!同类别期刊如下,大家也可以尝试:

  • Knowledge-Based Systems
  • Expert Systems with Applications
  • Applied Soft Computing
  • Neurocomputing

2024年4月28日是Eastmount的安全星球——『网络攻防和AI安全之家』正式创建和运营的日子,该星球目前主营业务为 安全零基础答疑、安全技术分享、AI安全技术分享、AI安全论文交流、威胁情报每日推送、网络攻防技术总结、系统安全技术实战、面试求职、安全考研考博、简历修改及润色、学术交流及答疑、人脉触达、认知提升等。下面是星球的新人券,欢迎新老博友和朋友加入,一起分享更多安全知识,比较良心的星球,非常适合初学者和换安全专业的读者学习。

目前收到了很多博友、朋友和老师的支持和点赞,尤其是一些看了我文章多年的老粉,购买来感谢,真的很感动,类目。未来,我将分享更多高质量文章,更多安全干货,真心帮助到大家。虽然起步晚,但贵在坚持,像十多年如一日的博客分享那样,脚踏实地,只争朝夕。继续加油,再次感谢!

(By:Eastmount 2025-07-08 星期二 夜于贵阳 http://blog.csdn.net/eastmount/ )

评论 4
添加红包

请填写红包祝福语或标题

红包个数最小为10个

红包金额最低5元

当前余额3.43前往充值 >
需支付:10.00
成就一亿技术人!
领取后你会自动成为博主和红包主的粉丝 规则
hope_wisdom
发出的红包

打赏作者

Eastmount

你的鼓励将是我创作的最大动力

¥1 ¥2 ¥4 ¥6 ¥10 ¥20
扫码支付:¥1
获取中
扫码支付

您的余额不足,请更换扫码支付或充值

打赏作者

实付
使用余额支付
点击重新获取
扫码支付
钱包余额 0

抵扣说明:

1.余额是钱包充值的虚拟货币,按照1:1的比例进行支付金额的抵扣。
2.余额无法直接购买下载,可以购买VIP、付费专栏及课程。

余额充值